|
| |
|
|
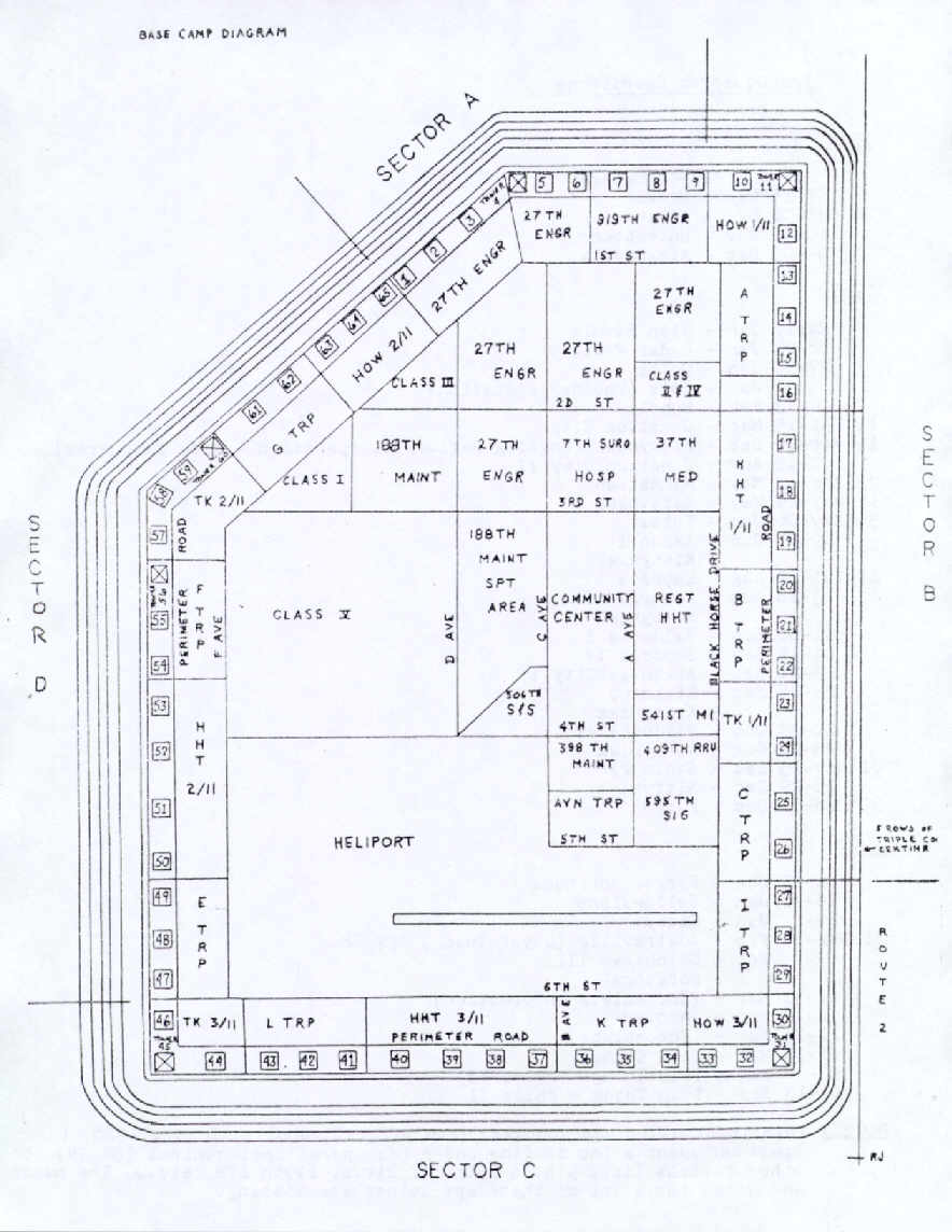
Blackhorse Base Camp - circa 1967
This diagram of Blackhorse base camp was submitted by Jim Brigman. It represents the base camp as I knew it in 1968-69. K troop is located in Sector C at the very bottom of the diagram. This invaluable historical record shows Blackhorse as it was - the units, roads, buildings, heliport and more. File size: 100kb. Please wait for it to load.

Home | Base Camp | Photos |
Guest Book | Taps | Contributor's Corner
Honor Roll | Links | Feed Back | Reunions | Search | Site Map